|
2 结果
2.1 屈光状态 出生后第7天幼兔的双眼屈光状态无明显差异。第60天拆除缝线,经t检验,三组两眼屈光度之间差异有高度显著的统计学意义(P<0.001),而三组之间差异无显著的统计学意义(P>0.05),如表1。
表1 形觉剥夺后三组屈光度变化 (D, ±s)
| 组别 |
实验眼 |
对照组 |
| A组 |
+0.65±1.64 |
+3.35±1.05 |
| B组 |
+0.72±1.23 |
+3.15±0.98 |
| C组 |
+0.69±0.85 |
+3.75±0.73 |
| 2.2 眼超声生物测量 第60天的生物测量见表2。
表2 三组的眼球生物学测量 (mm, ±s) |
| 组别 |
眼别 |
前房深度 |
晶体厚度 |
玻璃体腔长度 |
眼轴长度 |
玻璃体腔长度
/眼轴长度 |
| A组 |
右 |
2.50±0.37 |
4.95±0.19 |
7.94±0.65 |
15.39±0.65 |
0.52±0.03 |
| 左 |
2.56±0.35 |
4.74±0.59 |
7.21±0.79** |
14.53±0.72** |
0.48±0.02** |
| B组 |
右 |
2.80±0.14 |
4.92±0.17 |
7.45±0.47 |
15.01±0.53 |
0.50±0.02 |
| 左 |
2.76±0.14 |
4.97±0.23 |
6.94±0.32** |
14.78±0.70** |
0.47±0.01** |
| C组 |
右 |
2.85±0.22 |
4.99±0.25 |
7.29±0.55 |
15.14±0.68 |
0.49±0.02 |
| 左 |
2.77±0.12 |
5.03±0.20 |
6.83±0.41** |
14.63±0.62** |
0.46±0.02** |
与各组的右眼比较:* *P<0.01
2.3 病理学观察
2.3.1 光镜:三组实验眼的巩膜胶原纤维均变薄、变形、变细,睫状肌组织聚集呈束片状,脉络膜和视网膜也变薄变性。三组间无明显差异。
2.3.2 透射电镜:见表3。
表3 三组透射电镜观察
| |
巩膜 |
睫状体 |
视网膜 |
| 正常眼 |
胶原纤维呈块状或圆柱状,横切面直径45mm(图1) |
无色素上皮细胞层厚,有丰富线粒体,色素细胞核周有少量色素颗粒 |
色素上皮核周围大量色素,可见外节、内节、内核层及神经纤维(图4) |
| A组 |
胶原纤维条索状,直径3mm(图2) |
无色素上皮细胞层变溥,核很难发现,色素细胞核周围色素颗粒增多,核膜不完整,核内异染色体边集,睫状肌细胞无明显改变 |
色素上皮核周围色素显著减少,其它结构组织未见明显改变(图5) |
| B组 |
胶原纤维改变同A组,直径为4mm(图3) |
胞膜空泡变性,液泡中有溶解细胞质,线粒体消失 |
同A组(图6) |
| C组 |
同A组 |
同A组 |
同A组 |





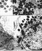
图1 正常眼巩膜胶原纤维横切面,直径约45mm。×5000
2 A组实验眼巩膜胶原纤维横切面,直径约3mm。×5000
3 B组实验眼巩膜胶原纤维横切面,直径约4mm。×5000
4 正常眼视网膜色素上皮层,核周有大量色素。×5000
5 A组实验眼视网膜色素上皮层,核周色素大量减少。×5000
6 B组实验眼视网膜色素上皮层,与A组类似。×5000
3 讨论
3.1 兔形觉剥夺近视模型
通过形觉剥夺方法,研究者已制造出实验动物,如鸡[1]、灰松鼠[2]、猫[3]、猴[4]等的剥夺性近视模型,这加快了人类对近视的认识过程,同时也为药物控制近视提供实验对象和理论依据。本实验选择兔,虽然兔眼视网膜感光细胞分布与人眼有较大差异,但从实验角度看还是有一定价值,同时也比猴等实验动物经济得多。目前很少有兔剥夺性近视实验报道,根据作者的饲养经验来看,原因可能有:幼兔必须由母兔喂养,成活率低,人工喂养几乎不能成活;兔眼发育期长,屈光度变化慢,剥夺性近视需要较长的遮盖时间,而要在长时间内使兔眼完全闭合且不化脓感染,非常困难,所以本实验仅遮盖了53天,实验眼的屈光度为+0.65±1.64D,未见明显近视,与对照眼+3.35±1.05D相比,只能说是“剥夺性相对近视”,与先前的实验结果有一定的不同。作者运用重新设计的A超证实形觉剥夺能导致眼的轴性延长,其中玻璃体腔延长和玻璃体腔长度/眼轴长度占主导地位。从某种程度上说,玻璃体腔长度/眼轴长度比玻璃体腔长度更能反映玻璃体腔在近视发生中的作用。因此两者是造成剥夺性近视的主要形态学原因,其病理学原因之一是巩膜胶原纤维的变细和变长。这在光镜和电镜中均得到证实,电镜下测得正常眼巩膜胶原纤维直径是45nm,而A组是3nm,是其15倍;另一个原因可能是视网膜色素上皮层改变。在电镜下视网膜的其它结构均未见改变。
3.2 胰岛素和近视的关系
JoshWallman[5]提出的视网膜控制近视理论,认为巩膜增长的一个可能原因是信息分子直接影响巩膜增长,这些信息分子能穿过网膜色素上皮层的紧密屏障,透过脉络膜的血管到达紧邻的巩膜;另一个更可能的原因是信号级联,网膜信号产生色素上皮信号,它再诱导调节巩膜增长的脉络膜信号。在本实验中脉络膜和视网膜变性尤其是在电镜下可见视网膜色素上皮层改变,这些均支持视网膜控制理论。目前最可能的视网膜抑制信号是多巴胺[5,6,7]多巴胺激动剂阿朴吗啡能降低鸡、猴等剥夺性近视眼的轴性延长;另一个可能的信号是胰岛素[5],然而在本实验中胰岛素并不能阻止剥夺性近视的发生、发展,因此胰岛素可能不是视网膜抑制信号。总之,笔者认为,形觉剥夺能导致眼球的轴性延长,玻璃体腔延长是其形态学的原因,巩膜胶原纤维变细变形,脉络膜、视网膜变性是其病理学原因,形觉剥夺破坏了视网膜及脉络膜屏障,导致视网膜对巩膜增长的失控,从而产生近视,然而胰岛素并不能阻止剥夺性近视的发生、发展。
参考文献
[1] 王富彬,吴国新,从明宇. 形觉剥夺对近视眼形成的影响实验研究. 中华眼科杂志,1996,32∶61
[2] Neville A McBrien,Hadio Moghaddam,Robert New,et al. Experimental myopia in a diurnal mammal(Sciurus Carolinensis)with no accommodative ability. J Physio(Lond),1993,469∶427
[3] 董建华. 单眼缝合致幼猫实验性近视研究. 眼科新进展,1997,17∶68
[4] Richard A. Stone,Alan M. Laties,Elio Raviola,et al. Increase in retinal vasoactive intestinal polypeptide after eyelid fusion in primates. Proc Natl Acad Sci USA,1988,85∶257
[5] Josh. Wallman. Retinal control of eye growth and refraction in progress in retinal research. Great Britain:Pergamon Press Ltd,1993. 133~153
[6] 肖林,陈瑞英,郭静秋. 阿朴吗啡抑制近视机理的研究. 中华眼科杂志,1998,34∶130
[7] Richard A. Stone,Ton Lin,Alan M. Laties,et al. Retinal dopamine and form-deprivation myopia. Proc Natl Acad Sci USA,1989,86∶704~706
(收稿:1998-10-15,修回:1999-05-04) 上一页 [1] [2] |