精彩推荐:青光眼 白内障 近视 远视 散光 斜视弱视 角膜溃疡 角膜炎 沙眼 眼外伤 更多疾病
大众频道
专业频道
时尚频道
互动频道
疾 病 | 保 健 | 爱眼动态 | 名医名院
知 识 | 美 食 | 自检自测 | 爱眼纪事
资 讯 | 临 床 | 学 术 | 文 献
图 谱 | 医 患 | 继 教 | 家 园
五官之美 | 整 形 | 美 容
眼镜一族 | 妆 容 | 图 库
眼科在线 | 预留位置
眼科知道 | 在线咨询
  当前位置: 中华眼科在线 >> 医学频道 >> 继续教育 >> 网上学习 切换到繁體中文 用户登录 新用户注册
Graves眼病眼眶组织HLA-DR和HSP-70表达研究

http://www.cnophol.com 2008-10-27 15:45:38 中华眼科在线

  摘 要:目的 了解Graves眼病患者眼部组织的组织相容性抗原DR(HLA-DR)和热休克蛋白(HSP-70)的表达极其与病程和治疗的关系。方法 收集Graves眼病患者的眼外肌19例,通过免疫组化的方法观察HLA-DR和HSP-70在不同病程,治疗与未治疗患者眼外肌的表达差异。结果 HLA-DR在眼外肌的纤维母细胞、血管内皮细胞和浸润的淋巴细胞表达,以未治病人的眶组织为明显;HSP-70在肌细胞和纤维母细胞表达,病程短的病人其表达增强。结论 眼外肌细胞和纤维母细胞可能都是Graves眼病自身免疫反应的重要靶细胞;HLA-DR和HSP-70在自身免疫反应中起重要作用;病程和治疗影响HLA-DR和HSP-70的表达。

    Study on HLA-DR and HSP-70 of orbital tissue from Graves ophthalmopathy

ZHOU Xiao-Hong,LUO Qing-Li,XIA Rui-Nan

  (Department of Ophthalmology,the First University Hospital,West China University of Medical Sciences,Chengdu 610041,Sichuan Province,China)

  Abstract:Objective To investigate the expression and localization of human leukocyte antigen-DR(HLA-DR)and heat shock protein-70(HSP-70)in orbital tissue in patients with Graves ophthalmopathy.Method Orbital tissues were obtained from 19 patients with Graves ophthalmopathy and 17 control subjects.An immunohistochemical study were carried out using anti-HLA-DR and anti-HSP-70 monoclonal antibody and a streptavidin-biotin-peroxidase detection system.Results HLA-DR was detected on lymphocytes,intersitial cells and endothelial cells from 16 patients and 4 controls.HSP-70 was detected in eye muscles and interstitial cells from 13 of the patients and 3 of the controls.Significant expression of HSP-70 was more often demonstrated in patients with eye disease of short course than in those of long course.Conclusions These results support the notion that eye muscle fiber and fibroblast are important targets of the orbital autoimmune reaction that characterize Graves ophthalmopathy;HLA-DR and HSP-70 both play important roles in the reaction.

  Key wordsGraves ophthalmopathy;autoimmune reaction;HLA-DR;HSP-70;immunomodulation protein▲

  Graves病是内科常见病,目前普遍认为它是一种由于免疫自身稳定机制紊乱而诱发的自身免疫反应,其具体发病机制尚不清楚[1]。本研究目的在于通过免疫组化方法,了解Graves眼病患者眼部组织的HLA-DR和HSP-70的表达,探讨其免疫功能状态,为了解发病机制提供一定的理论依据。

  1 材料与方法

  1.1 材料 收集1990~1996年因Graves眼病在我科行眼眶减压术后切除的眼外肌。患者共19例,其中男11例,女8例。年龄18~64a,平均47.1a。所有的病人都具有Graves眼病典型的临床症状和体征,并经CT证实。其中经皮质类固醇和免疫抑制剂治疗14例,未治5例;急性13例,慢性6例。眼外肌标本中下直肌10例,内直肌4例,上直肌2例,外直肌、上斜肌、下斜肌各1例。正常对照共17例,年龄25~54a的意外死亡者,切取眼外肌包括下直肌7例,外直肌3例,上直肌、内直肌、上斜肌各2例,下斜肌1例。用100g·L-1福尔马林固定,脱水,石蜡包埋,储存于干燥环境中。

  1.2 实验方法 采用LSAB法检测HLA-DR和HSP-70的表达。其中一抗分别为鼠抗人HLA-DR单克隆抗体(Dako公司)和鼠抗人HSP-70单克隆抗体(Sigma公司);二抗和三抗均由Victor公司提供。阳性对照由迈新公司提供,阴性对照用PBS代替一抗。

  HLA-DR和HSP-70的染色是计算阳性细胞阳性率的平均值,再换算成Ⅲ级增殖指数,增殖指数≤25%记为“+”,26%~50%为“++”,>50%为“+++”,无染色则记为“-”。

  1.3 统计学分析 采用确切概率法检验病例组和正常对照组HLA-DR和HSP-70的表达,并检验其表达与Graves眼病病程、治疗的关系。检验水准α=0.05。

  2 结果

  2.1 HLA-DR在眼眶组织的表达

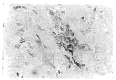
  2.1.1 病例组与对照组HLA-DR表达的差异 在病例组19例患者中HLA-DR在16例浸润的淋巴细胞有表达(图1),纤维母细胞和血管内皮细胞染色阳性(图2),包括在2例未治疗的患者中发现肌细胞呈弱阳性。而在正常对照组仅有4例出现少量纤维母细胞和内皮细胞HLA-DR着色,其余无着色。2组间具有明显差异,(P=0.0006),见表1。

  Figure 1 Significant expression of HLA-DR on infilltrated lymphocyte  ×400 浸润淋巴细胞HLA-DR特异性染色

  Figure 2 Significant expression of HLA-DR on fibroblast  ×400 纤维母细胞HLA-DR特异性染色

表1 Graves眼病眼眶组织与对照组HLA-DR表达的差异

  Table 1 The difference of HLA-DR expression on orbital

  tissue between Graves ophthalmopathy and control

Group +~+++ - Add up Positive modulus%
Patient 16 3 19 84.21
Control 4 13 17 25.32
Add up 20 16 36 60.69

  2.1.2 HAL-DR表达与Graves眼病病程的关系 结果经检验,P=0.1891,说明病程的长短与HLA-DR的表达无显著相关(见表2)。

表2 病程与HLA-DR表达的关系

  Table 2 The relation of HLA-DR

  expression on orbital tissue to course

Course ++~+++ -~+ Add up Positive modulus%
<2a 10 3 13 76.92
≥2a 2 4 6 33.33
Add up 12 7 19 43.59

  2.1.3 HLA-DR表达与Graves眼病治疗的关系 未治疗组与治疗组HLA-DR的表达有显著差异,P=0.0122,治疗组HLA-DR表达明显低于未治疗组(见表3)。

表3 治疗与HLA-DR表达的关系

  Table 3 The relation of HLA-DR

  expression on orbital tissue to therapy

Therapy

+++ -~++ Add up Positive modulus%
Without therapy 4 1 5 80.00
Therapy 1 13 14 7.14
Add up 5 14 19 72.86

  2.2 HSP-70在眼眶组织的表达

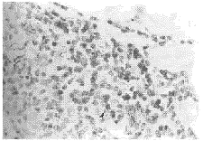
  2.2.1 病例组与对照组HSP-70表达的差异 病例组19例中HSP-70在13例眼外肌细胞表达(图3),在纤维母细胞有染色阳性(图4)。正常对组则仅有3例出现肌细胞和纤维母细胞阳性着色,而大多数无染色。2组间HSP-70的表达有显著差异(见表4),P=0.0055。

  Figure 3 Significant expression of HSP-70 on extramuscle  ×400 肌细胞HSP-70特异性染色

  Figure 4 Significant expression of HSP-70 on fibroblast  ×400 纤维母细胞HSP-70特异性染色

表4 Graves眼病眼眶组织与对照组HSP-70表达的差异

  Table 4 The difference of HSP-70 expression on orbital

  tissues between Graves ophthalmopathy and control

Group +~+++ - Add up Positive modulus%
Patient 13 6 19 68.42
Control 3 14 17 17.65
Add up 16 20 36 50.77

  2.2.2 HSP-70表达与Graves眼病病程的关系 在病程短、处于急性期的病例中可见肌细胞及纤维母细胞有大量HSP-70的表达,明显强于病程长、处于慢性期的病例P=0.0003(见表5)。

表5 病程与HSP-70表达的关系

  Table 1 The relation of HSP-70

  expression on orbital tissue to course

Course ++~+++ -~+ Add up Positive modulus%
<2a 12 1 13 92.31
≥2a 0 6 6 0.00
Add up 12 7 19 63.16

  2.2.3 HSP-70表达程度与Graves眼病治疗的关系 未治疗组和治疗组HSP-70的表达强弱无明显差异(P=0.0758)(见表6)。

表6 治疗与HSP-70表达的关系

  Table 6 The relation of HSP-70

  expression on orbital tissue to therapy

Therapy +++ -~++ Add up Positive modulus%
Without therapy 4 1 5 80.00
Therapy 3 11 14 21.43
Add up 7 12 19 58.57

[1] [2] 下一页

(来源:眼科新进展 1999年第5期第19卷)(责编:duzhanhui)

下一条: 没有了
更多关于(眼睛,中华眼科在线,眼科,Graves眼病)的信息
  热门图文

保你成为人气女王的8款

眼部肌肤年龄测试

给男士眼部护理提个醒

10款百元内好口碑眼霜
  健康新看点
  健康多视点
  图话健康

Copyright © 2007 中华眼科在线 网站备案序列号: 京ICP备08009675号
本网站由五景药业主办 北京金鼎盛世医学传媒机构负责运营 国家医学教育发展中心提供学术支持
服务电话:010-63330565 服务邮箱: [email protected]